Radionuklidová flebografie
Praktický průvodce pro indikující lékaře
Princip a metoda
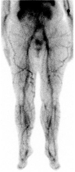
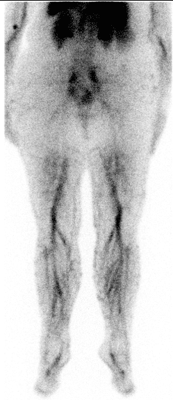
Radionuklidová flebografie je funkční zobrazovací metoda nukleární medicíny využívaná k hodnocení žilního návratu a průchodnosti hlubokého žilního systému dolních končetin a pánve.
Po intravenózní aplikaci radiofarmaka do žilního systému dolních končetin (obvykle dorzálně na noze) je sledována jeho dynamická distribuce proximálním směrem. Záznam umožňuje zhodnotit rychlost, symetrii a kontinuitu průtoku v jednotlivých segmentech.
Radiofarmakum: nejčastěji se používá 99mTc-MAA (makroagregát albuminu) nebo 99mTc-koloid, který se chová pasivně a odráží průchodnost žilního řečiště. Vyšetření se provádí planární dynamickou scintigrafií, někdy doplněnou statickými snímky pánve a břicha.
Hlavní klinické indikace
- Diagnostika hluboké žilní trombózy (HŽT) – detekce poruchy průchodnosti žil, odlišení akutní trombózy od chronických změn.
- Hodnocení žilních kolaterál – posouzení náhradního odtoku při obstrukci.
- Kontrola po chirurgických nebo endovaskulárních výkonech – po flebotrombolýze, zavedení stentu nebo bypassu.
- Chronická žilní insuficience – posouzení refluxu a insuficience chlopní.
- Diferenciální diagnostika otoků dolních končetin – rozlišení venózní a lymfatické složky (v kombinaci s lymfoscintigrafií).
Kontraindikace a příprava pacienta
- Relativní kontraindikace: těhotenství, alergie na aplikované radiofarmakum, těžký lokální zánět nebo infekce v místě vpichu.
- Příprava pacienta: není nutná speciální dieta ani lačnění; doporučuje se mírná hydratace.
Průběh vyšetření
- Založení i.v. kanyly – obvykle dorzální žíla nohy.
- Aplikace radiofarmaka (99mTc-MAA nebo 99mTc-koloid) v dávce cca 150–200 MBq.
- Dynamická scintigrafie – záznam proximálního postupu radiofarmaka (toku krve) žilním systém DK.
- Statické snímky – oblast pánve, břicha a hrudníku dle klinické potřeby.
- Celková doba vyšetření: 20–30 minut.
Interpretace a klinický význam
- Normální nález: symetrický průchod radiofarmaka oběma DK bez známek obstrukce, rychlý transport do pánevních žil a duté žíly.
- Akutní HŽT: absence průtoku v úseku s trombózou, případně zástava postupu radiofarmaka.
- Chronická HŽT: zpomalený průtok, nepravidelná distribuce, přítomnost kolaterál.
- Kolaterální oběh: vizualizace náhradních žilních cest (paravertebrální, povrchové žíly DK).
Vyšetření má výhodu v možnosti funkčního hodnocení dynamiky průtoku a v nižší zátěži oproti klasické RTG flebografii, nepoužívá kontrastní látku.
Radiační zátěž
- Efektivní dávka: cca 2–3 mSv.
- Radiofarmaka jsou bezpečná a dobře tolerovaná.
Shrnutí pro praxi
Radionuklidová flebografie je:
- Funkční metoda k hodnocení žilní průchodnosti a dynamiky toku.
- Citlivá v diagnostice akutní i chronické hluboké žilní trombózy.
- Užitečná při kontrole po chirurgických nebo endovaskulárních výkonech.
- Bezpečná, s nízkou radiační zátěží a bez rizika kontrastní nefropatie.
Přestože je částečně vytlačována ultrazvukem a CT, zůstává cennou alternativou v situacích, kdy jsou jiné metody limitované, a představuje doplněk v komplexní diagnostice žilních onemocnění.

